
手绘表现 · 考研快题 · 考研理论 · 软件出图
环境设计(室内&景观)|视觉传达|风景园林|建筑学|城乡规划|工业设计|数字媒体
城市广场是城市的“会客厅”,其设计质量直接影响城市的形象与市民的生活品质。一个成功的城市广场设计,需要在宏观叙事与微观体验之间找到平衡。
一、 功能分区与人性化尺度
根据使用者的活动类型(如通行、休憩、交谈、集会),可将广场划分为多个区域:
· 入口过渡区:边界需清晰但开放,利用树阵、矮墙或高差变化,形成从城市道路到广场内部的心理缓冲。
· 核心活动区:通常是广场的视觉焦点(如雕塑、旱喷泉、中心草坪)。地面铺装应平整、防滑,且具备足够的承载力以应对高密度人流(如节庆集会)。
· 边缘休憩区:这是广场使用率最高的地方。“边界效应”指出,人们倾向于在空间的边缘停留。因此,应在建筑檐下、树荫下、花坛边设置充足且多样化的座椅(兼顾单人、多人、带桌板等类型),并考虑轮椅使用者的需求。
· 动态流线:需严格分析周边城市交通(地铁口、公交站、商业入口)的来向,通过铺装引导或植物遮挡,避免人流仅将广场作为穿行的通道,而应引导人流“进入”并“停留”。
二、 空间形态与视觉构图
· 围合与层次:利用建筑立面、高大乔木、景观墙或微地形,形成从封闭到半开敞、再到开敞的视觉层次。通常,广场空间的宽高比(D/H)控制在1:1至3:1之间较为宜人;若大于3:1,空间感会过于空旷,缺乏场所感。
· 视觉焦点与轴线:大多数经典广场都有强烈的轴线或视觉焦点(如纪念物、标志性建筑、特色水景)。设计需确保在主要视点(如路口、主要入口)能看到对景,避免视线通而不透。
三、 铺装设计与地面语言
· 导向性与领域感:线性的铺装纹理(如条形石材)可以引导人流方向;而不同的铺装颜色或材质变化,可以暗示不同的功能区域(如用暖色木铺装界定“停留区”,用冷色石材界定“通行区”)。
· 耐久性与安全性:面材需坚硬耐磨(花岗岩是常用选择),但在坡道处需做防滑处理。需特别注意无障碍设计,避免在主要动线上出现高差;若因排水需要设置坡向,坡度不宜超过2%。
四、 绿化配置与微气候调节
· “大树底下好乘凉”:城市广场普遍存在热岛效应。乔木的覆盖率是衡量广场舒适度的重要指标。种植冠幅较大的乡土落叶乔木(夏季遮荫,冬季透光),应避免使用大量草坪(维护成本高且遮荫效果差)。
· 种植形式:阵列式种植(树阵广场)能提供最规整的庇荫空间;自然式种植则用于软化硬质边界或阻隔噪音。
· 避免“中看不中用”:绿化设计需避免采用大面积带刺灌木围合的“观赏性绿地”,应让绿地具有进入性和可参与性。
五、 水景与互动性
· 旱喷泉:现代城市广场的主流选择。地面铺设石材,喷头隐藏于地下,不喷水时是完整的硬质活动空间,喷水时提供清凉与互动性,尤其受儿童欢迎。
· 静水面与跌水:镜面水池适合需要宁静氛围的纪念性广场或商务广场,通过倒影扩大视觉空间感;但水深需严格控制在安全范围(通常不超过30-50cm),或设置明显的防护边界。
六、 细节把控与城市家具
· 照明设计:需分层次设计。功能照明(庭院灯)保证夜间基本安全;景观照明(照树灯、埋地灯)塑造夜间景观轮廓;氛围照明(装饰灯、灯带)延长广场夜间使用时间。需特别注意避免眩光。
· 城市家具:包括垃圾桶、信息牌、公交站亭等。设计风格应统一,且定位要精准(设置在流线节点上,而非视觉中心)。
· 无障碍设计:这是现代设计的底线,而非加分项。全场地应实现零高差通行,并设置足够数量的无障碍坡道和盲道(注意避免盲道被井盖或设施阻断)。
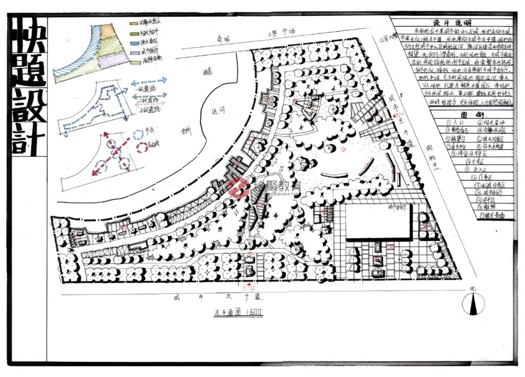
一、基地概况
本次长江流域某城市建设一处城市广场,场地面积有1.1公顷,基地具体信息如下图:合理组织基地空间同周边道路、科技馆、图书馆、文化活动中心、商业建筑之间的关系;体现出“两馆一中心”思想。基地下方有一地下停车场,覆土深度为1.5m,考虑做微地形,要求功能分区明确、流线组织合理、符合相关的设计规范。
二、设计要求
1.平面图,比例自定;
2.剖面图,数量及比例自定;
3.分析图若干;
4.局部效果图或者鸟瞰图
5.经济技术指标;
6.设计说明。






项目名称:雄安新区悦容公园桃花园
桃花园位于雄安新区悦容公园北苑,中央水系将场地分割为东西两岸。悦容公园设置了包含桃花园在内的9个主题园,旨在体现中国园林精粹,传承发展中国园林艺术。桃花园的设计依据《桃花源记》展开,设计师将“桃花源”空间细化为八大场景。
▼桃花园是以传统园林艺术手法建造的当代园林,The Peach Flower Garden is a contemporary garden built with traditional gardening techniques ©Chill Shine


缘溪行
Wandering Along the Stream
位于河流西岸,是桃源之旅的开端。蜿蜒的小径初时开敞,越往林木深处越狭窄。溪水在路侧流淌,溪边散布置石,种植水生湿生植物。路边起伏的地形上遍植山桃,树下绿草茵茵,呈现“芳草鲜美,落英缤纷”的景象。
▼木桥与溪流,Wooden bridge and stream ©Chill Shine

山有小口
A Narrow Opening in the Mountain
小路婉转前行,两侧地形逐渐抬升成山丘,只在中间裂开一条岩石山谷。从小口进入,道路在嶙峋的怪石间迂回曲折,前方若隐若现。岩石山谷由人工堆叠块石而成,选用了大块岩石模仿天然岩壁的脉络走向进行堆筑,宛若天成,丰富的灌木和地被植物穿插在山石之间,增添了自然气息。两侧乔木郁郁葱葱,进一步烘托了山林峡谷的氛围。
▼山林中间裂开一条岩石山谷,A path cutting into the rocks in the middle of the forest ©Chill Shine

▼堑道的两侧模仿天然岩壁的脉络走向,The two sides of the cutting path mimic the veins of the natural rock wall ©Chill Shine

豁然开朗
Suddenly Opening Up
经过几曲转折之后,空间豁然开朗,近处是开阔的芳林草地,植物疏朗,前方是桃树掩映中的桃源学堂和宁静开敞的河湾,一旁河道上两座虹桥将视线引向对岸,隐约可见岸上成片的田园桑竹和山居村落,仿若一幅自然与田园交织的山水画卷。
▼桃源学堂庭院的中心是一个露天剧场,The central courtyard of the Peach Flower Source School is an open-air theater ©Chill Shine


桃源学堂Peach Blossom Academy
桃源学堂位于河西片区,与河东田园区遥相呼应。这里是一个自然教育和田园教育的中心,为青少年课外活动提供场所。学堂是一组朝向水面的半开敞院落,由4座建筑及连廊构成,功能包括门厅、办公、多功能教室以及一处面向河口,具备绝佳观景视野的滨水茶室。学堂被绿树花木环绕,建筑围合的庭院中心是一个露天剧场,可以作为户外课堂,也可举办演出和室外活动。
▼桃源学堂是具有民居风格的现代建筑,The Peach Flower Source School is a modern architecture with traditional dwelling style ©Chill Shine

双桥虹影Twin Rainbow Bridges Reflecting in the Water
河流宽度超过40米,桥梁采用双桥加一岛的方案,减小了桥梁跨度和尺度,并增加了景观的层次。桥选用虹桥形式,栏杆沿用了宋代木勾栏做法,既具有古意,又能丰富景观。两桥飞跨河上,一大一小,一高一低,曲线优美,细节丰富,古韵盎然。虹桥桥上可远眺观景,桥下可顺利通船,形成了园中的一道风景。
▼虹桥借鉴了清明上河图中的汴河虹桥的形式,The Rainbow Bridge draws on the form of the Bianhe River Rainbow Bridge in the Riverside Scene at Qingming Festival ©Chill Shine

▼双桥虹影是园中的一道风景,The Rainbow-Shaped Double Bridges (pronounced as “Shuangqiaohongying” in Chinese) is a scene in the garden ©Chill Shine

阡陌纵横
Crisscrossing Fields
过桥到对岸,便可看到“土地平旷,屋舍俨然”、“阡陌交通,鸡犬相闻”的桃源村落景象。农田顺缓坡延伸到水岸,形成几层梯田,石坎构成了纵横交错的“阡陌”。田地里种植大片花卉和观赏草,形成如农田般的景象,中间散布几组山桃、山楂和桑树,成为村落的前景。
▼花田中阡陌纵横,The paths crisscross the flower field ©Chill Shine

山脚屋舍
Village at the Foot of the Hill
起伏的丘陵上密植乔木,形成村落和田园的背景。山丘脚下,错落有致地分布着一组屋舍,面向开阔的“田园”,村中点缀着树木,呈现出恬淡安逸的桃源村落景象。村落建筑群采用毛石、夯土、木材等自然材料,运用坡屋顶形式,呈现乡土建筑风格,体现桃源的诗画意境。建筑地面层的标高不同,层数1-2层不一,形成了高低错落的村落立面。部分建筑设置二层平台,提供室外休闲场所和眺望点。建筑可作为公园的服务设施,承担茶室、咖啡厅、酒吧、艺术工坊等功能,一方面让人们体验在桃源村居中品茗、作画、读诗、会友的传统文化生活,同时又为人们提供具有时尚感、艺术感和高品质的休闲场所。村落的中心布置了一个面向田园的小型剧场。屋前屋后、转角阶边栽植着各色花木,软化了建筑和平台的硬朗线条。村落的外部空间异常丰富,既神似传统村落中的公共空间,又更为完整和开放,为现代功能的展开提供条件。
▼山脚屋舍错落有致地分布在山丘脚下,The Piedmont Houses are artfully scattered at the foot of the hill ©Chill Shine

美池桑竹
Beautiful Ponds, Mulberry Trees and Bamboo Groves
桃花园的中心是水面,平静的河面作为田园的前景。河边一条石栈道穿过茂盛的水生植物,连接了滨水平台、小岛和岸上的竹林。竹林从田园一直向南延伸,一条幽静的小道从竹林曲折穿过,连接到公园主路,从而为桃源体验之旅落下帷幕。
▼山脚屋舍建筑组团有丰富的形体变化和外部空间,The building cluster of Piedmont Houses has a variety of architectural forms and external spaces ©Chill Shine


桃花园的设计,是对经典文学的诠释和转译,也是对景观原型的解构与在地重构。设计依据场地特征,以当代审美和现代材料,用写意的方式,创造了具有现实意义的当代桃花源。
▼以花田为前景的建筑组团体现出桃源村落的诗画意境,Taking the flower field as the foreground, the architectural complex reflects the poetic and picturesque artistic conception of a peach blossom land village ©Chill Shine


▼桃花园平面图,Master plan of the Peach Flower Garden ©Chill Shine

项目名称:雄安新区悦容公园桃花园项目类型:城市公园设计方:北京林业大学园林学院、北京多义景观规划设计事务所公司网站:http://www.dylandscape.com/联系邮箱:dyjgmail@126.com项目设计:2019-2020完成年份:2022设计团队:主创:王向荣、林箐;团队:张诗阳、匡纬、李洋、张铭然、华锐、许璐、姚鸿飞、常弘、周超、王子尧、都凯、黄楚梨、赵茜尧、张希、蒋鑫、许少聪、王科、丁呼捷项目地址:雄安新区建筑面积:6.2ha摄影版权:丘文三映/Chill Shine合作方:苏州园林设计院股份有限公司客户:中国雄安集团生态建设投资有限公司施工单位:诚通凯胜生态建设有限公司山石造景顾问:知了营造工作室















































